Садржај
Орлови нокти су познати вртни грм, од којих неке сорте дају јестиво воће. Међутим, многи вртларци узгајају ове биљке не за бербу, већ као украс за своју личну парцелу. Једна од ових врста је Браунов орлови нокти, који комбинује прилично велики број декоративних сорти.
Опис Браунових орлови нокти
Браунови орлови нокти (Лоницера бровнии) су хибридна врста. Добијен је укрштањем зимзелених медоноша (Л. семпервиренс) и храпавих (Л. хирсута). Разне сорте ове биљке се широко користе у украсном вртларству.

Браунове орлови нокти су одличан начин за украшавање неозбиљне ограде
Фотографије и описи Браунових ноктију биће представљени у наставку. Табела у наставку приказује његове главне карактеристике:
Параметар | Вредност |
Тип биљке | Пењачки полузелени грм |
Бекства | Лиана, зелена у младим изданцима, тада постаје светло смеђа, често са љубичастом бојом. Нарасте до 2,5 м |
Оставља | Кожни, густи, овално издужени, заобљеног краја и кратких петељки. Листна плоча је одозго тамнозелена, испод има плавкасту нијансу. Листови су супротни, често расту заједно, чинећи око стабљике чврсти заобљени венчић |
Коријенски систем | Дрворез, моћан, јако разгранат |
Цвеће | Звона са дугим цевастим делом, велика, до 6 цм.Главне боје су црвена, наранџаста, жута и њихове разне нијансе. Цвеће се сакупља у колутове у гроздовима од 5-35 ком. |
Време цветања | Јун-октобар |
Воће | Бобице су сферне, светло црвене боје. Нејестиво |
Семе | Мале (до 3 мм), црне, сазревају унутар бобица у октобру-новембру |
Именовање | Вертикално баштованство, украсно баштованство |
Смеђе врсте медоносних ноктију
Захваљујући раду узгајивача из различитих земаља, узгајане су многе сорте смеђих медоноша. О некима од њих говори се у наставку.
Браон Бланцхе Сандман'с Хонеисуцкле
Сорта је зимзелена лиана, чија дужина може досећи 3,5 м. Изданци су прилично моћни, црвенкасти, коврџави, снажно лиснати. Њихов годишњи раст може бити и до 1 м.
Листови су овални, светло зелени, кожни. Цветање почиње у јуну и траје до средине јула. Цветови орлови ноктију Бровн Бланцхе Сандман су велики, светли, гримизно-гримизни, унутрашњи део је жут. Сорта је одлична за узгој као жива ограда, за вертикално уређење ограда, зидова, лукова и других украсних елемената врта.
Смеђи орлови нокти Фуцхсиа
Бровн'с Хонеисуцкле Фуцхсиа се широко користи за украшавање вертикалних елемената пејзажне архитектуре, као и биљка која се преплиће за разне ограде, ограде, решетке. Изданци ове сорте ноктију нарасту до 2 м.
Листови су често нарасли, тамнозелени, густи. Цветање се дешава у јуну и траје до почетка јула.Цветови су велики, светли, гримизно-ружичасти, изнутра наранџасти.
Смеђа орлови нокти Златна труба
Бровн'с Хонеисуцкле Голден Трумпет је грм пењајућих изданака који нарасту до 3 м. Боја цветова је светло жута, са благом црвенкастом бојом.
Ова врста орлови нокти почиње да цвета у јуну. Од јула до септембра, на грмљу сазревају јарко гримизне бобице, које дуго задржавају декоративност. Бровн'с Хонеисуцкле Голден Трумпет се користи за вертикално уређење и за стварање различитих баштенских композиција.
Бровн'с Хонеисуцкле Дропморе Сцарлет
Браунове орлови нокти Дропморе Сцарлет је дуго позната сорта, коју су канадски узгајивачи узгајали средином прошлог века. Припада полу-зимзеленом грмљу, коврџави изданци могу нарасти до 2 м. Листови су широки, велики, прирасли, зелени, одоздо благо плавкасти.
Смеђа медена сорта Дропморе Сцарлет почиње да цвета у јуну и траје до ране јесени. Цвеће је велико, до 5 цм, звонолико са уским цевастим венчићем, наранџастоцрвене боје. Од августа, сферне црвене бобице величине око 1 цм почињу да сазревају на свом месту, што грм чини још декоративнијим.
Кратки прегледни видео ове смеђе врсте медоносних ноктију можете погледати на линку:
Садња и брига о Брауновим медљикама
Браунове орлови нокти не одликују се повећаним захтевима за пољопривредном технологијом. Садња и брига за њу је прилично једноставна, а отпорност многих сорти на мраз, болести и штеточине омогућава им узгајање чак и у регионима који немају најповољнију климу.
Датуми слетања
Најбоље време за садњу Браунових медоноша на отвореном је јесен, када биљка заврши са растом и буде мирна. У исто време, од тренутка садње до почетка мраза, требало би да остане најмање месец дана. Ово време је сасвим довољно да биљка пушта корен на новом месту и припрема се за зиму.

Саднице браон медоноша најбоље је купити у контејнерима
Ако је Браунова орлови нокти засађена садницом са ЗКС, онда се садња може обавити у било које доба године, искључујући зиму.
Избор и припрема места слетања
Браунове орлови нокти су веома незахтевни према месту раста и земљишту. Често се сади на основу захтева пејзажног дизајна, а не оптималних услова за раст. На осветљеним подручјима, Браунов орлови ноктију расте посебно добро, међутим, биљка добро подноси делимичну сенку, стога се често сади дуж ограда или у близини зида куће. Грм нема посебне захтеве за састав тла, али пожељно је да земљиште буде растресито, песковито иловасто или иловасто, прозрачно, неутрално или благо кисело. Не би требало да бирате песковиту, тешку глину и врло мочварна подручја за садњу Браунових медљика.
По правилу се не врши посебна припрема тла. Рупе за садњу садница Браунових медоноша припремају се непосредно пре рада. Њихова величина зависи од старости и запремине кореновог система. Садницама старости 5-7 година потребне су јаме дубоке око 1 м, за млађе је довољно продубљивање од 0,25-0,3 м. Ако земљиште није сасвим погодно, онда је боље припремити хранљиво земљиште за засипање, које се састоји од травњака земља, тресет и песак помешани у омјеру 3: 1: 1. Добро је додати у земљу мало суперфосфата и било какво калијумско ђубриво (1-2 тсп.л.), као и 1 чашу дрвеног пепела.

За садњу Браунових медоноша нису потребне велике рупе за садњу
Правила слетања
Пре садње садница браунових медљика неопходно је сипати 5-10 цм дренаже у убране јаме за садњу - шљунак, експандирану глину или ломљени камен средње величине. После тога, морате додати слој хранљивог тла, на којем је на врху постављен коријенски систем саднице. Корење је потребно исправити и пажљиво прекрити земљом, периодично га сабијајући како би се спречило стварање празнина. Постепено се рупа потпуно попуњава, пазећи да је коренов врат на нивоу тла.
Након садње, зона корена грмља мора се обилно заливати, а затим малчирати тресетом или хумусом. Ово ће спречити брзо испаравање влаге из тла.
Колико далеко треба посадити Браунове медоноше
Оптимално растојање између две суседне медења Руст оф Бровн је 1,8-2 м. Међутим, грмље се често сади на ближем растојању ако је потребно повећати густину живе ограде.

Смеђа жива ограда од медоносних ноктију изгледа веома атрактивно
Не би требало да садите суседне саднице ормеља ближе од 1,5 једна од друге, јер се винова лоза суседних биљака може снажно испреплетати, а то ће створити одређене потешкоће приликом обрезивања или друге неге.
Заливање и прихрањивање
Браунове орлови нокти су осетљиви на сушу, па је редовна влага у тлу обавезна када се брине о овом грму. Након садње, садница се мора неколико пута интензивно навлажити како би јој се корени брже укоренили. После тога, грм се залива у зависности од временских услова. У врућини то треба радити свакодневно, сипајући 10 литара воде у зону корена грмља. Заливање треба обавити увече, тако да вода мање испарава под утицајем сунчеве светлости.

Браунове орлови нокти веома воле прскање
Прскање грмља може се обавити истовремено, Брауново орлови нокти врло добро реагују на овај поступак.
У првих неколико година након садње није потребно хранити грмље. Током овог периода живота медоноше, сасвим су довољна она храњива и ђубрива која су додавана у земљу приликом садње садница. Међутим, након овог периода, храњење је неопходно. Цветни и плодни грмови прилично интензивно исцрпљују тло, па зато залихе хранљивих састојака у њему треба периодично допуњавати. Најбоље је то учинити неколико пута током сезоне:
- Рано пролеће... У овом тренутку, храњење корена Браунових ноктију врши се ђубривима која садрже азот (нитрофоска, азофоска).
- Лето, након цветања... Тренутно је препоручљиво хранити Браунове орлови носачима органским материјама (хумус, иструлило стајско ђубриво), равномерно их уводећи у зону корена.
- Јесен, после плода... У овом тренутку морате користити сложена минерална ђубрива калијума и фосфора, тако да грм враћа снагу након плода и ојачава пре зимовања. Тренутно се не користе ђубрива која садрже азот и свежа органска материја, како не би стимулисали прекомерно стварање изданака. Млади изданци који расту у ово доба до зиме неће имати времена да се одрвене и највероватније ће се смрзнути и умрети од мраза.
Резидба
Сматра се да се браунине медоносне лозе углавном користе као плетенице, у првим годинама се не орезују тако да нарасту у дужину. Уклањају се само осушени и сломљени изданци. Након што винова лоза достигне потребну висину, одсече се, а бочни изданци узгајају се дуж решетке, мреже или ограде.

Редовно сечите суве изданке.
Почевши од 6-7 година, Браунове орлови нокте морају се периодично подмлађивати одсецањем старијих и уместо тога гајењем младе лозе. Тако ће биљка дуже задржати свој декоративни ефекат. То се може учинити рано у пролеће, пре почетка протока сокова, или на јесен, након што грм заврши са растом.
Зимска издржљивост Браунових ноктију
Браунове орлови нокти имају добру отпорност на мраз. Ако у растућем региону температуре зими не падну испод -20 ° Ц, тада се винова лоза не може уклонити ни из решетки, довољно је изолирати коријенску зону дебелим слојем малча од тресета, хумуса или пиљевине . У хладнијим крајевима лозу треба уклонити са подлоге, положити на земљу и прекрити слојем опалог лишћа, сламе или смрекових гранчица.
Узгајање браон медоноша
Браунове орлови нокти могу се размножавати и семенским и вегетативним методама. Ево кратког описа обе методе.
Семе: Сетвени материјал се бере од потпуно зрелих бобица, обично крајем октобра. Најлакши начин за то је трљање воћа кроз сито. Ољуштено семе мора бити стратификовано - држати 1,5-2 месеца на температури од 0-4 ° Ц. Таква мера опонаша природне услове дивљине и значајно повећава клијавост. Сетва се врши у пролеће, након што се земљиште отопи и загреје до + 3-5 ° С. Семе се равномерно стављају у жлебове и посипају слојем земље не више од 2 цм.У таквим условима, први изданци се обично појављују не пре септембра.

У посебним контејнерима, пластеницима, семе клија много брже
Постоји начин да се значајно убрза клијање семена. Да би то учинили, код куће се клијају помоћу мини стакленика, у којима се одржавају стални параметри температуре и влажности. У тим условима, семе браунових орлови ноктију клијају за 3-4 недеље.
Сечењем, ову вегетативну методу користе обични баштовани чешће од семена, јер је једноставнија и ефикаснија. Постоји неколико начина резања медљике, од којих се најчешће користи зима, користећи лигнифиед резнице са садњом пре зиме или раног пролећа. Смеђи орлови нокти такође можете узгајати лети, зеленим резницама исеченим из годишњих изданака текуће године. Ова биљка прилично добро корени.

Браунове медоноше се врло лако размножавају резницама
У овом случају, засађене резнице морају се редовно навлажити тако да брзо формирају сопствени коријенски систем. Након што младе саднице одрасту и ојачају, могу се пресадити на стално место.
Подела грмља. Јако обрастао смеђи грм медоносних ноктију може се ископати из земље и поделити на неколико делова тако да сваки од њих садржи довољан број корена и неколико здравих изданака. Такве деленке се саде као самосталне саднице у одвојеним садним јамама.
Болести и штеточине
Браунове орлови нокти су слабо подложни разним врстама болести, јер имају добар имунитет. Међутим, понекад на њега могу утицати одређене болести, углавном гљивичне. Најчешћи узрочници болести су неодговарајући услови раста, поремећаји у нези, као и неке штеточине инсеката који су преносиоци заразних средстава.
- Пепелница... Ово је гљивична болест, која се препознаје по карактеристичном белом пудерастом цвету на лишћу и изданцима. У будућности, погођена подручја круне постају црна и одумиру. Ова болест се често појављује због изненадних захлађења и влажног времена. Погођени изданци су одсечени, а грмље за превенцију и лечење третира се Тиовитом или Цхистотсветом.
- Смеђа мрља... Ова гљивична болест погађа ваздушни део Браунових ноктију, а првенствено лишће.Препознаје се по карактеристичним црвенкастим мрљама на лисној плочи. Временом, мрље потамне, а листови постану смеђи, исушују се и лете около. Споре гљиве презимљавају у отпалом лишћу. У случају инфекције, сви погођени изданци морају се исећи и спалити, а сви отпали листови морају се уклонити. Грм се третира фунгицидима, на пример, бордо течност или бакар оксихлорид (препарати ХОМ, Абига-Пеак, итд.).
- Аскохитоза... Још једна врста мрља која погађа лишће Браунових ноктију. То је гљивична болест, одређена неправилним сивим мрљама са црним обрубом. Временом се тачке спајају, лишће се суши и отпада. Као профилакса гљивичних болести, грмље медљике третира се фунгицидима. Све заражене младице и отпало лишће које садрже споре гљивица морају се уклонити и спалити.
- Моттлинг... Једна од вирусних болести украсних облика ноктију, која у великој мери квари изглед грмља. Узрочнике ове болести носе нематоде - мали паразитски црви који живе у тлу. Отарасити се нематода у том подручју је прилично тешко. Боље је уклонити и спалити погођене делове грмља, а саму биљку хранити калијским ђубривима. Ако је болест започета, онда је боље потпуно ископати грм и спалити га, а на овом месту потпуно напустити садњу медоноше.
Поред горе поменутих нематода, на Брауновим медљикама могу се наћи и други штеточини. Ево неких од њих:
- Орлови ноктију... То је мали инсект сиса који се храни соком лишћа. Може се открити увијеним листовима, унутар којих се налази зид паука са јајима гриња. Против крпеља се користе различити акарицидни лекови, као што су Цонфидор и Ацтеллик.
Увијени и прекривени мрежом листови знак су присуства штеточина.
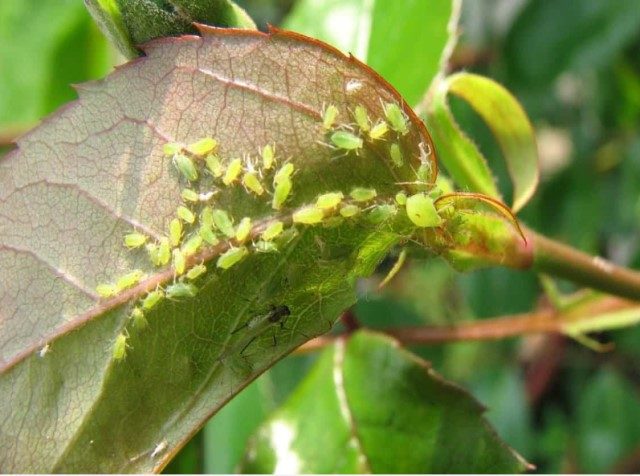
- Орлови ноктијска уш... Овог микроскопског инсекта можете приметити по пожутјелим листовима чији се сокови хране ушима. Велике накупине ових инсеката озбиљно исцрпљују изданке и разлог су њиховог слабог раста, а понекад и увенућа. Екстремно лишће на крајевима изданака обично је погођено апикалном ушом; визуелно је тамнија и има сиву боју. За борбу против лисних уши, најбоље је користити разне народне лекове, као што је инфузија танси, целандина или белог лука. По правилу, једна њихова примена је сасвим довољна да се реши ове штеточине.
Зелене уши се обично насељавају на задњој страни листова.
Закључак
Браунове орлови нокти су непретенциозне и атрактивне украсне биљке које могу украсити било коју кућну башту. Предиван изглед, лакоћа неге, отпорност на болести и штеточине, отпорност на мраз - све ове особине су својствене овој биљци. И то га чини једним од најпопуларнијих грмова који се користи у украсном вртларству.









